Koop:Maasdijk, 4264 AR Veen - Foto
+4

Maasdijk 4264 AR Veen € 345.000,- k.k.

  • 685 m² perceeloppervlakte

Beschrijving

Op een prachtige plek ligt deze ruime bouwkavel van 685 m2. De locatie is uitzonderlijk mooi. De kavel ligt bij de ingang van de nieuw woonbuurt 'Waterfront de Veene'. Dit prachtige plan omvat ca. 26 bouwkavels waarvan een groot deel reeds is verkocht. De invulling van deze nieuw woonbuurt is schitterend. Veel natuur, open vaarwater, en prachtige villa's. Prominent wonen op een toplocatie!

Kaart

Kenmerken

Overdracht

Referentienummer
01968
Vraagprijs
€ 345.000,- k.k.
Aanvaarding
In overleg
Aangeboden sinds
Maandag 24 oktober 2022
Laatste wijziging
Woensdag 29 oktober 2025

Bouw

Type object
Bouwgrond
Soort bouw
Bestaande bouw

Oppervlaktes en inhoud

Perceeloppervlakte
685 m²

Tuin

Type
Tuin rondom
Staat
Dient nog te worden aangelegd.

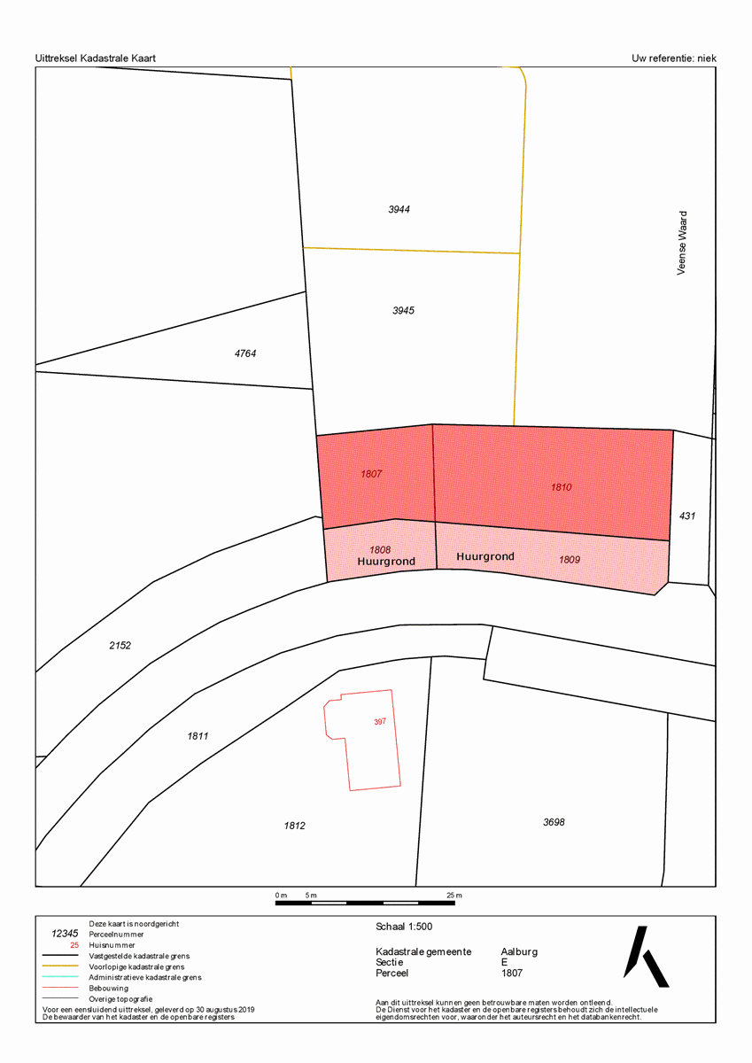
Kadastrale gegevens

Kadastrale aanduiding
Aalburg E 1807
Perceeloppervlakte
200 m²
Omvang
Geheel perceel
Eigendomsituatie
Eigen grond
Kadastrale aanduiding
Altena E 1810
Perceeloppervlakte
485 m²
Omvang
Geheel perceel
Eigendomsituatie
Eigen grond

Media

Plattegronden

Brochure(s) en overige bijlagen

Terugblikken op

Eerder bekeken woningen

Bekijk ons volledige aanbod